Trapani quadrilocale 122mq
140.000,00 €

0 Como
0 Como
Dati annuncio : Venta Cuatro habitaciones, Trapani
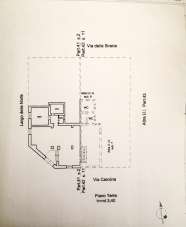
PER INFORMAZIONI CONTATTARE NINO SUL CELL. 371/4150415\n\nLocale commerciale al piano terra in Via Carolina (Torre di Ligny) Trapani composto da due locali adiacenti e comunicanti di mq 85+37 (Tot 122 MQ) con 2 vani retro bottega, 2 bagni e antibagni, doppio ingresso fronte strada(Via Carolina) e finestra. \nINFO. 371 4150415\n
- PropuestaOfrezco
- ContratoVenta
- Precio140.000,00 €
- Habitaciones4
- Metros cuadrados totales122
- Baño2
- Clase de energíaG
- EstadoDa ristrutturare
- Tipo de construcción[commerciale, commerciale]
- ProvinciaTrapani
- ComúnTrapani
- Fecha16-10-2025 05:38:40
- CódigoEa-996e3f